A man with glasses and a beard carrying a smiling young boy on his shoulders, both outdoors in front of a teal garage door.

FOX FIELD NORTH

New Custom Homes in North London

Black fox silhouette above the words "Fox Field North" in black text on a white and gray background.

Building on the success of Auburn Developments’ Fox Field Community, this sought-after northwest London neighbourhood offers the perfect blend of peaceful country living and city convenience.

Thoughtfully designed to preserve natural features like woodlots and open green spaces, the community features quiet streets, scenic walkways, and a welcoming atmosphere. With lot sizes from 40’-45’, it’s the ideal place to build your new custom dream home.

Why Live in Fox Field North?

Family Friendly Community

Parks & Trails

Northwest Public School

6 Minute Drive to Hyde Park

8 Minute Drive to Masonville

Close to Shopping & Groceries

Close to Restaurants & Cafés

14 Minute Drive to Downtown

Easy Access to Highway 402 & 401

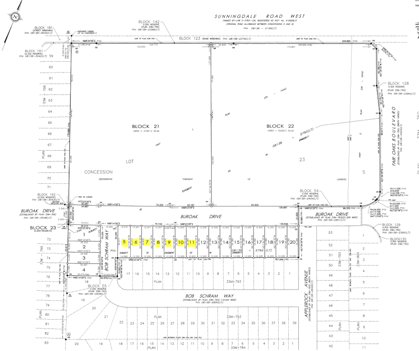
Detailed site plan map showing property blocks, Capstone Prestigious Homes lot divisions, roads, and numbered lots with highlighted sections in yellow.

Site Plan

Available Lots

Lot 5 (45x115) Corner

Lot 6 (40x115) Model Home

Lot 7 (40x115)

Lot 8 (40x115)

Lot 9 (40x115)

Lot 10 (40x115)

Lot 11 (40x115)

Contact Us

Two-Storey Detached Floorplans

STARTING AT $750,000

Contemporary

Capstone Prestigious Homes' Modern two-story house, The Ezra, with black and white exterior, large front windows, black garage door, and landscaped entrance with potted plants and stepping stones.

The Aria - Model Home

1,824 sq. ft. total

3 Bedrooms

2.5 Bathrooms

Double Car Garage

Floor Plan
Line drawing of Capstone Prestigious Homes' modern two-story home to build, The Nova, with a sloped roof, large front windows, and a front garage.

The Nova

2,543 sq. ft. total

4 Bedrooms

2.5 Bathrooms

Double Car Garage 

Floor Plan

Traditional

Line drawing of Capstone Prestigious Homes' traditional two-story home to build, The Thea, with a front porch, double front door, attached garage, and complex roofline.

The Thea

1,824 sq. ft. total

3 Bedrooms

2.5 Bathrooms

Double Car Garage

Floor Plan
Line drawing of Capstone Prestigious Homes' traditional two-story home to build, The Victoria, with a gabled roof, front door, attached garage, and multiple windows

The Victoria

2,557 sq. ft. total

4 Bedrooms

3.5 Bathrooms

Double Car Garage 

Floor Plan

Make It Stand Out

  • It all begins with an idea. Maybe you want to launch a business. Maybe you want to turn a hobby into something more. Or maybe you have a creative project to share with the world. Whatever it is, the way you tell your story online can make all the difference.

  • It all begins with an idea. Maybe you want to launch a business. Maybe you want to turn a hobby into something more. Or maybe you have a creative project to share with the world. Whatever it is, the way you tell your story online can make all the difference.

  • It all begins with an idea. Maybe you want to launch a business. Maybe you want to turn a hobby into something more. Or maybe you have a creative project to share with the world. Whatever it is, the way you tell your story online can make all the difference.

Make it